L’actualité météo dans le monde en ce début Novembre
Europe :
Le calme est de rigueur sur une grande partie de l’Europe depuis quelques jours avec un vaste anticyclone s’étant développé à l’avant d’une zone dépressionnaire stationnant sur la péninsule Ibérique.

Schéma de la situation atmosphérique sur l'Ouest de l'Europe ce Vendredi 6 Novembre - Modèle GFS via météociel.fr
Avec cet anticyclone, c’est également un flux de Sud/Sud-Ouest qui s’est mis en place sur le continent avec une douceur marquée pour la saison. Après la France, l’Allemagne, la Suisse ou encore la Belgique ont battu de nombreux records de douceur pour un mois de Novembre en début de semaine.

Records de chaleur pour un mois de Novembre en Suisse le 2 Novembre - Météo-Suisse
Cette douceur s’est ensuite décalée vers le Nord de l’Europe et notamment en Finlande où, là encore, de nombreux records de douceur tombent ces derniers jours. Le 3 novembre, c’est l’aéroport de Pori dans le Sud-Ouest du pays qui battait l’ancien record de température maximale pour un mois de Novembre avec 14.7°C au meilleur de la journée (ancien record de 14.3°C le 03/11/2015 à Kemiönsaari Kemiö).
Ce 6 Novembre, c’est la localité de Marihamm qui battait ce record de 1.9°C avec jusqu’à 16.6°C au meilleur de la journée.

Températures relevées ce Vendredi 6 novembre en début d'après-midi sur le Sud-Ouest de la Finlande - Via twitter @mikarantane
En marge de ce temps anticyclonique une vaste zone dépressionnaire stagne donc depuis plusieurs jours entre l’Espagne et le Portugal, provoquant des précipitations fréquentes parfois accompagnée d’orages.
Entre le 4 et le 5 Novembre, ces pluies et orages ont fortement stationné sur la région de Valence dans le Sud-Est de l’Espagne, apportant des cumuls exceptionnels de plus de 500mm en 48h (502,0mm à Sueca/Muntanyeta dels Sants, 429,6mm à Benifaió).

Inondations majeures près de Valence le 5 novembre - Via Facebook - Quetiempohace
C’est pendant la journée du 5 Novembre que ces précipitations ce sont montrées les plus intenses avec plus de 300mm en 24h au Sud de Valence près d'Alzira.

Cumuls de précipitations (lame d'eau radar) sur la journée du 5 Novembre - Via AEMET
Ces précipitations diluviennes ont engendré de nombreuses inondations sur la zone ainsi que des dégâts importants. Bien heureusement, aucune victime n’est à déplorer.
Amérique :
Après le puissant coup de froid de la fin du mois d’Octobre, c’est maintenant la douceur qui fait l’actualité sur le Nord du continent Américain. A l’avant d’une dépression située sur le Nord-Est des Etats-Unis et l’Est du Canada, une masse d’air chaude est remontée vers le Nord, provoquant un brusque regain de douceur sur ces régions.

Schéma de la situation atmosphérique sur l'Amérique du Nord ce Vendredi 6 Novembre - Modèle GFS via météociel.fr
Ainsi, les 20°C furent à nouveau dépassés en Alberta avec jusqu’à 25.9°C Drumheller et Bassano le 3 Novembre, un record pour la région en Novembre.

Carte des températures maximales en Alberta le 3 Novembre dernier - via twitter : @thierrygooseBC
A titre de comparaison, les températures maximales ne dépassaient pas les -5°C dans cette zone les 24 et 25 Octobre dernier.
Cette douceur gagne également le Québec et l’Est du continent dans les prochains jours avec un véritable été indien au programme à une période où l’hiver s’installe normalement peu à peu.
Plus au Sud, la chaleur est encore plus marquée comme en Arizona où les 35°C ont été dépassés de façon très tardive ce 5 Novembre. La ville de Phoenix a atteint la température exceptionnelle de 37.2°C (99°F) ce jour, battant largement l’ancien record de 35.6°C du 03/11/2009.

Record de température maximal à Phoenix ce 5 Novembre - via NWS Phoenix
Encore plus au Sud, la saison cyclonique continue de se montrer très active sur le bassin Atlantique Nord. Le 2 Novembre dernier, l’ouragan Eta est devenu le 28ème système nommé de la saison, égalant l’année record de 2005. Au total, 12 ouragans ont été nommés cette année.

Trajectoires des dépressions, tempêtes et ouragans de la saison 2020 sur l'Atlantique Nord - Via Wikipedia
Eta s’est très rapidement renforcé en mer des Caraïbes atteignant un pic d’intensité en catégorie 4 dans la nuit du 2 au 3 Novembre au large du Nicaragua. Son renforcement fut comparable (dans une intensité moindre) à celui de Delta quelques semaines plus tôt.

Renforcement des vents en fonction de la durée depuis le classement en tempête tropicale en Atlantique Nord - via twitter @splillo
Celui-ci s’est ensuite décalé vers la côte Est du Nicaragua en gardant une très forte intensité.

Image satellite de l'ouragan Eta à son entrée dans les terres au Nicaragua - via NASA
Les dégâts furent particulièrement importants dans cette zone avec des rafales supérieures à 240km/h sur le littoral et des inondations majeures touchant de larges régions. Des dizaines de milliers de personnes furent évacuées de façon préventive mais 63 victimes sont tout de même à déplorer dans le pays.

Une autoroute sous l'eau à San Pedro Sula au Honduras - ORLANDO SIERRA / AFP
Eta, aujourd’hui en tempête tropicale devrait ensuite se décaler vers le Nord-Est pour toucher Cuba ce week-end puis la Floride en début de semaine prochaine. Si une intensification en ouragan de faible intensité n’est pas exclue celle-ci semble tout de même peu probable.

Trajectoire prévue de la tempête Eta dans les prochains jours - Via National Hurricane Center
Néanmoins, de fortes précipitations entraînant un risque d’inondations sont tout de même attendues sur ces zones dans les prochains jours.
En Amérique du Sud, la chaleur est toujours d’actualité comme depuis plusieurs semaines entre le Sud du Brésil, le Pérou, la Bolivie et le Paraguay avec de nombreux records de chaleur à la clef.

Températures maximales prévues en journée du Samedi 7 Novembre sur le Sud du continent américain - Via tropicaltidbits.com
Afrique :
Un temps de saison se manifeste sur la majorité du continent avec quelques pluies orageuses circulant sur le centre de la zone et un ciel ensoleillé au Nord.

Image satellite de l'Afrique en ce Vendredi 6 novembre - Via sat24.com
C’est en Afrique du Sud que le temps est le plus agité avec une instabilité récurrente depuis plusieurs jours sur la zone. De forts orages se succèdent en restant toutefois isolés. Ceux-ci apportent néanmoins de fortes précipitations et inondations locales ainsi que des chutes de grêle parfois marqués.

Orage violent près de Vaalpark il y a quelques jours - Image via twitter @Clarisse_Raven
Asie :
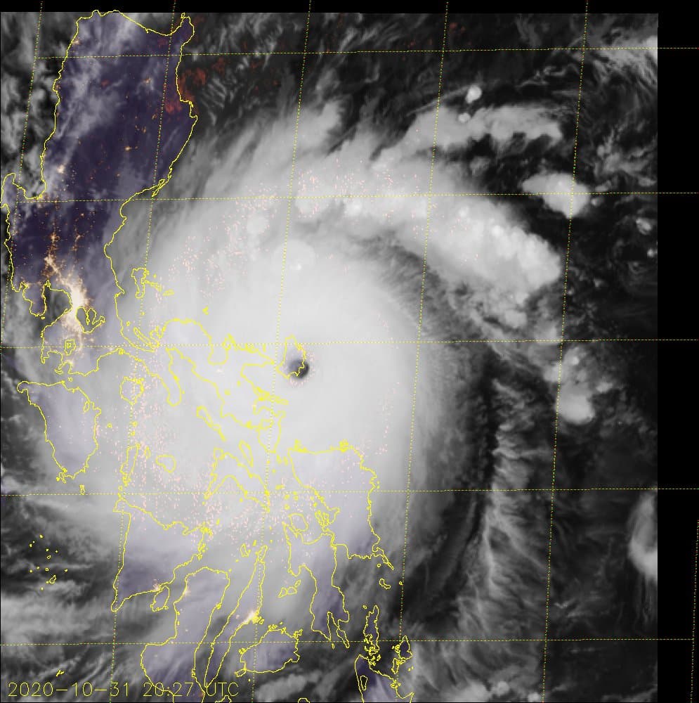
Le super-typhon Goni s’est échoué le 31 Octobre dernier sur l’île de Catanduanes aux Philippines et a ensuite traversé le pays d’Est en Ouest.

Image satellite du super-typhon Goni lors de son entrée dans les terres en catégorie 5 - Via JMA
Celui-ci a touché terre en catégorie 5, se montrant comme le système le plus puissant de l’année 2020.
Les vents ont par endroit dépassé les 350km/h en rafales avec une impressionnante mesure de 314km/h de moyenne sur une minute, un record battant les 306km/h mesurés lors du typhon Meranti en 2016, ce qui en ferait le typhon le plus puissant ayant jamais touché terre depuis le début des relevés météorologiques.
Celui-ci fut également accompagné de précipitations diluviennes atteignant les 600mm en 24h et d’une importante marée de tempête.

Dégâts très importants aux Philippines suite au passage de Goni - Via lenouvelleliste.ch
Au total, plus de 19 personnes seraient décédées et 260 000 foyers étaient privés d’électricité au lendemain de son passage sur les Philippines. Plus de 280 millions de dollars de dégâts sont à déplorer sur le pays.
Goni s’est ensuite décalé vers le Vietnam tout en perdant en intensité, cependant un autre système est déjà en cours de renforcement à l’arrière.

Image satellite des deux systèmes tropicaux en cours sur l'Ouest du Pacifique - Via JMA
La tempête Atsani est prévue de se renforcer dans les prochains jours pour atteindre la catégorie 1 lors de son passage au Nord des Philippines.
Plus à l’Ouest la chaleur se montre intense en ce début Novembre au Népal avec un nouveau record de chaleur pour novembre. La température a en effet atteint 35.4°C à Baihrawa le 3 Novembre, battant l’ancien record de 35.2°C à Dipayal datant de Novembre 2001.
A l’inverse, le froid envahit enfin le Nord de la Sibérie et l’Océan Arctique est à présent gelé après une période record de 112 jours praticables.

Comparaison des périodes où l'océan Arctique fut franchissable par bateau depuis 1980 - Via twitter @RARhode
Océanie :
L’été s’installe peu à peu en Australie et la période très instable touchant l’Est du pays depuis plusieurs jours s’estompe peu à peu. Néanmoins, le 31 Octobre dernier, un très violent orage de grêle a touché la région de Brisbane, le plus violent depuis 2014.
Les grêlons géants ont atteint une taille record de 13 à 14cm de diamètre, causant plus de 195millions de dollars de dégâts sur la région et blessant plusieurs personnes. De nombreuses toitures, véhicules et infrastructures furent touchés sur la zone.

Violents orages et grêlons géants près de Brisbane le 31 octobre dernier - Via 7News.com
A présent le temps redevient plus calme sur le pays avec une chaleur qui s’accentue peu à peu.
.jpg)


