Le puissant cyclone Winston (historique) frappe les îles Fidji
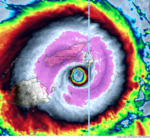
	Dans le Sud du Pacifique, un cyclone baptisé Winston a provoqué des intempéries et des dégâts sur les îles de Niue, Vava'u et aux Tonga (>). Après un très net renforcement, ce cyclone a atteint la catégorie maximale de 5/5 et a touché ce samedi l'archipel des Fidji. Avec des vents moyennés sur 1 minute à 296 km/h (et des rafales supérieures), Winston est non seulement le plus puissant jamais observé sur les îles Fidji mais aussi le plus puissant jamais observé dans l'Hémisphère Sud entier.  Avec une houle cyclonique de 12 mètres (et des vagues maximales encore plus hautes) ainsi que des pluies diluviennes, un bilan provisoire fait état de 20 morts et d'importants dégâts (>).
Trajectoire du cyclone Winston - MAJ automatique via Weather Underground
	
Image satellite sur les Fidji samedi 20 février à 02h (heure française)
It's all happening here in Suva
Posté par Jaisal Patel sur vendredi 19 février 2016
	


 Dégâts du cyclone Winston sur Tonga - Source : Stuff
Dégâts du cyclone Winston sur Tonga - Source : Stuff.png&w=640&q=75)
	 


