Saison cyclonique 2020 record dans l’Atlantique Nord
La saison cyclonique se déroule en général du 1er juin au 30 Novembre dans le bassin Atlantique Nord, bien que ces dates puissent varier suivant les années. Nous arrivons donc à la fin statistique de cette saison 2020, particulièrement active avec un nombre record de systèmes tropicaux et des évènements parfois catastrophiques.

Carte des trajectoires des systèmes tropicaux de la saison 2020 dans l'Atlantique Nord - Wikipedia
Un début précoce :
Dès le 12 mai 2020, le National Hurricane Center surveillait la formation d’une onde tropicale dans les environs de Cuba pouvant potentiellement évoluer en tempête. Ce fut le cas 4 jours plus tard avec la formation d’Arthur, première tempête nommée de la saison. Celle-ci a ensuite évolué vers le Nord-Est en longeant la côte de l’Est des Etats-Unis avant d’évoluer en tempête post-tropicale le 19.

Image satellite de la tempête Arthur à la mi-mai 2020 - NASA
Pour la 6ème année consécutive, la saison cyclonique débutait de façon précoce dans le bassin Atlantique. Le 27 mai, la tempête tropicale Bertha se formait quasiment dans la même zone mais était déclassée en tempête tropicale dès le lendemain, s’échouant sur les côtes de la Caroline.
Le 1er Juin, c’était cette fois-ci Cristobal qui se formait près du Mexique, remontant vers le Nord et venant s’échouer sur les côtes de Louisiane dans les jours suivants, y provoquant de fortes pluies. Avant le début de la saison officielle le 1er juin, déjà 3 systèmes tropicaux s’étaient donc formés sur le bassin, sans pour autant atteindre le stade d’ouragan.
Premier cyclone en Juillet, premier cyclone majeur en août :
Le premier ouragan de la saison s’est formé le 23 Juillet dans le Golfe du Mexique. Celui-ci fut peu après nommé Hanna et atteignit la catégorie 1 le 25 Juillet au large des côtes du Texas sur lesquelles il s’échoua le lendemain.

Image satellite de l'Ouragan Hanna lors de son entrée dans l'Ouest du Texas - NASA
Hanna a également établi un nouveau record de la 8ème tempête nommée la plus précoce depuis le début des observations. Ce record était précédemment détenu par la tempête tropicale Harvey s’étant formé au début du mois d’août 2005.
Il fallut attendre la fin du mois d’août pour observer le premier ouragan majeur de la saison dans le bassin. Laura, formé à l’arrière du cyclone Marco s’est échoué sur les côtes de la Louisiane en catégorie 4 quelques jours plus tard après avoir fortement impacté les Antilles.

Image satellite des deux systèmes tropicaux dans le Golfe du Mexique le 24 août - via NASA
Celui-ci fut le plus puissant ouragan ayant touché l’état de Louisiane depuis 1856 et le 4ème plus puissant de l’histoire sur cet état avec des rafales à plus de 240km/h. Ces valeurs de vent sont parmi les 10 plus intenses jamais relevées aux Etats-Unis.
>> Consultez notre dossier sur cet évènement
Nombre record de systèmes :
Les systèmes tropicaux se sont succédés durant cette saison, notamment entre août et septembre qui sont en général les mois les plus propices à leur formation. Au total, ce sont 28 tempêtes qui furent nommées durant la saison, égalant le record de 2005, saison la plus active jamais enregistrée. Seulement celui-ci fut égalé quasiment deux mois plus tôt qu’en 2005, la dernière tempête tropicale nommée de la saison 2005 fut en effet observée au mois de Janvier !

Graphique temporel des systèmes tropicaux de la saison 2005 dans l'Atlantique Nord - Wikipedia
Cette saison cyclonique 2020 pourrait donc battre ce record dans les prochaines semaines, voire les prochains mois.
Parmi ces 28 tempêtes, 5 ouragans majeurs se sont pour le moment développés (contre 7 en 2005) et Laura fut le plus puissant.
C’est également la seconde fois depuis le début des relevés que l’organisme en charge de nommer les systèmes n’a d’autre choix que d’utiliser l’alphabet Grec. La liste prédéfinie avant chaque saison prévoit en effet 21 prénoms de A à W, si ce chiffre est dépassé, l’alphabet grec est ensuite utilisé.
![]()
Noms supplémentaires donnés aux cyclone provenant de l'alphabet Grec - Via la Chaine Météo
> Pour rappel, un système tropical est nommé quand les vents proches de son centre atteignent et/ou dépassent les 118km/h en rafales.
Si le record du nombre de système nommé est pour le moment égalé, il semble fortement probable que celui-ci soit battu. Déjà en ce 9 Novembre, le National Hurricane Center surveille la potentielle formation d’une 29ème tempête dans l’Atlantique :

Système tropical pouvant potentiellement évoluer en tempête dans les prochains jours - Via NHC
Des évènements marquants :
Si les systèmes tropicaux furent exceptionnellement nombreux jusqu’à aujourd’hui, les évènements les accompagnants l’ont été tout autant.
Par exemple, à la mi-septembre, 5 tempêtes évoluaient simultanément dans l’Atlantique :
- Paulette : ouragan de catégorie 2 ayant impact les Bermudes
- René : Tempête tropicale s’étant formée au large du Cap Vert
- Sally : Ouragan de catégorie 2 formé sur le Sud de la Florie et ayant impact la Louisiane en catégorie 2
- Teddy : Formé dans l’Atlantique et s’étant rapidement renforcé pour atteindre la catégorie 4 avant de perdre en intensité en s’échouant en Nouvelle-Ecosse
- Vicky : Tempête tropicale s’étant formée à l’arrière de René

Systèmes tropicaux simultanés dans l'Atlantique Nord à la mi-septembre 2020 - Via NHC
L’Ouragan Sally fut le plus marquant de cette série en provoquant de graves inondations sur l’état de Louisiane. Cet état fut d’ailleurs très durement touché en 2020 avec 2 ouragans majeurs et 5 tempêtes nommées s’échouant sur ce seul secteur.

Trajectoires des ouragans Laura et Delta en Louisiane - Via News19
Notons également que Laura et Delta sont entrés dans les terres quasiment au même endroit sur la Louisiane à 2 mois d’intervalles, un phénomène particulièrement rare et catastrophique pour la zone.
Delta fut également marquant par bien d’autres aspects. Celui-ci a en effet subi l’intensification la plus rapide de l’histoire de bassin Atlantique Nord en mer des Caraïbes. En environ 36h, celui-ci est passé du stade de simple tempête tropicale à un ouragan majeur de catégorie 4. Sa pression a chuté de 52 hPa durant ce laps de temps et les rafales ont évolué de 57 à plus de 205km/h proche de son œil.

Graphique de l'intensité des rafales de vent en fonction du nombre d'heure après la formation du système - Via Twitter : @splillo
Son œil fut d’ailleurs particulièrement concentré avec un diamètre de 4 miles (environ 6.5km), s’approchant du record de 2 miles de Wilma en 2005.

Image satellite du cyclone Delta au maximum de son intensité - Via CIRA/RAMMB
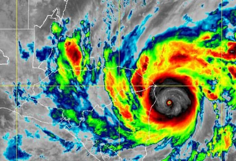
Dernièrement, c’est l’ouragan majeur Eta qui fit l’actualité, touchant le Yucatan en catégorie 4 le 3 Novembre dernier.

Image satellite du cyclone ETA au maximum de son intensité - Via CIRA/RAMMB
Eta a également subi l’une des intensifications les plus rapides de l’histoire du bassin Atlantique Nord, évoluant de la catégorie 1 à 4 (bas de l’échelon) en moins de 48h.
Le Yucatan, déjà touché par le cyclone Zeta quelques jours plus tôt fut durement impacté par ce cyclone avec des rafales à plus de 220km/h sur le littoral et des inondations catastrophiques. Au moins 200 personnes auraient perdu la vie au passage de cet ouragan.

Une autoroute sous l'eau à San Pedro Sula au Honduras - ORLANDO SIERRA / AFP
Cette saison cyclonique 2020 entre donc dans les annales en terme de nombre de systèmes recensés mais également au niveau des phénomènes associés. D’ici la fin de la saison, le nombre de systèmes nommés sera probablement battu.
Ces cyclones ont provoqué la mort de près de 300 personnes (dont au moins 200 pour Eta et 42 pour Laura) et causé des centaines de millions de dollars de dégâts. Néanmoins, contrairement à la saison 2005, aucun ouragan de catégorie 5 n’a été observé pour le moment, une relative bonne nouvelle dans une saison record.
.jpg)


